El huracán Matthew roza las costas de Florida y causa una víctima mortal
- Una mujer con un infarto fallece al no poder ser trasladada al hospital
- Más de un millón de personas sufren cortes de luz en el sureste de EE.UU.
- Es el huracán más poderoso formado en el Atlántico desde Félix, en 2007
- A su paso por Haití, Matthew ha dejado cientos de muertos y zonas devastadas
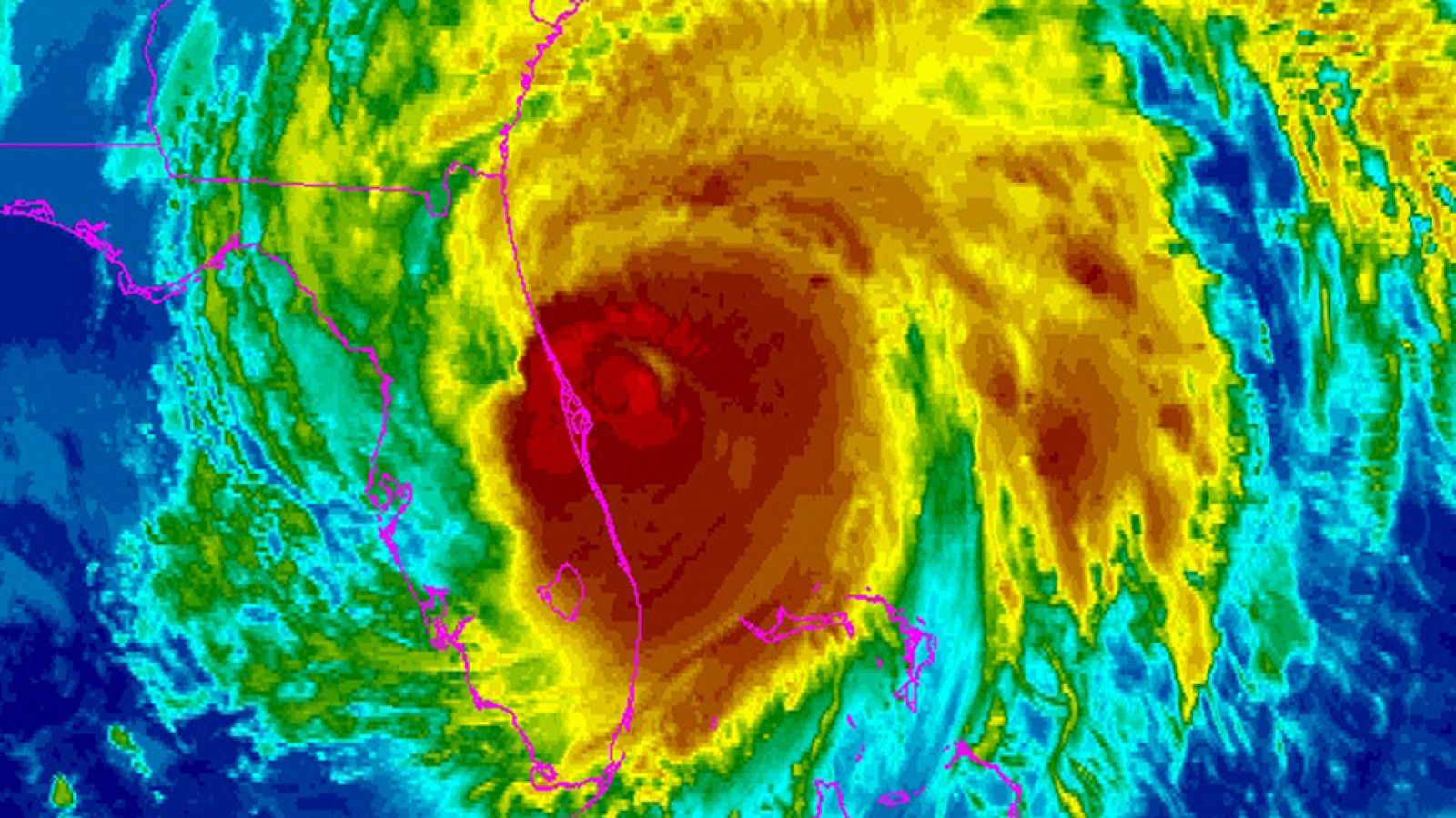
El "extremadamente peligroso" huracán Matthew ha pasado por Estados Unidos y ha rozado el Estado de Florida, sin golpearlo de lleno. No obstante se ha cobrado su primera víctima mortal, de manera indirecta, además de causar cortes de luz, caída de árboles y desperfectos en algunas viviendas.
Una mujer que sufrió un ataque cardiaco en Saint Lucie, a 180 kilómetros al norte de Miami, no pudo ser llevada a un hospital ni atendida por los servicios de emergencia debido a los efectos del ciclón y falleció, han informado las autoridades locales.
La mujer, de 58 años, es la primera víctima mortal en EE.UU. de este huracán de categoría 3 que ha causado centenares de muertes en Haití, según datos oficiales.
El presidente Barack Obama ha firmado una declaración de emergencia para los estados de Florida, Carolina del Sur y Georgia que permite destinar ayuda federal para hacer frente a las "condiciones de emergencia" provocadas por Matthew.
Más de un millón de personas sin electricidad
El huracán azotó Cabo Cañaveral en la madrugada del viernes con rachas de 172 km/hora en su rumbo hacia el norte del estado, provocando además que más de un millón de usuarios perdieran el servicio eléctrico en Florida.
En la zona de la costa los vecinos se acercaron a las playas y puertos deportivos para ver los efectos del paso del huracán, aunque en Fort Pierce todo amaneció tranquilo. Las principales carreteras de la zona siguen abiertas, aunque han caído numerosas palmeras, carteles publicitarios, vallas y árboles en calles de las ciudades del área.
Otra de las consecuencias del paso del huracán ha sido la escasez de combustible en la costa este del estado, pues la mayoría de las estaciones de servicio ya no tienen gasolina ante la gran demanda o están cerradas por falta de suministro eléctrico que haga funcionar las bombas. A este respecto, el gobernador de Florida, Rick Scott ha declarado este viernes que hay gasolina para cinco días.
El CNH mantiene un aviso por huracán (paso del sistema en 36 horas) para una extensa franja costera desde Boca Ratón, en el sur de Florida, hasta South Santee River, en Carolina del Sur. Según un probable patrón de trayectoria establecido por el Cantro Nacional de Huracanes (CNH) estadounidense, "el ojo de Matthew avanzará cerca o sobre la costa este de la península de Florida durante esta noche (del viernes), y cerca o sobre la costa de Georgia y Carolina del Sur el sábado".
Trayectoria en bucle: un segundo golpe sobre Florida
Aunque se espera que se debilite más a medida que pasen las horas, los meteorólogos del CNH prevén que Matthew siga como un "poderoso" huracán de categoría 3 a lo largo de su paso por Florida. Alrededor de las 23:00 hora peninsular española (las 17:00 hora local de Miami), Matthew se encuentra a 40 millas (60 kilómetros) al estesureste de San Agustín y a 60 millas (95 kilómetros) al sureste de Jacksonville Beach, en el noreste del estado, según el Centro Nacional de Huracanes (NHC).
Mientras Matthew azota la costa este de EE.UU. -por ahora no ha tocado tierra- los patrones de trayectoria calculados por los meteorólogos estadounidenses indican que puede realizar un bucle y golpear por segunda vez Bahamas y Florida la próxima semana, aunque ya debilitado.
Se trata de proyecciones por computadora que muestran a Matthew, que está azotando la costa noreste de Florida con vientos máximos de 195 km/hora, iniciando a partir del próximo lunes un giro casi completo hacia el sur, como las manecillas de un reloj.
No obstante, Robert Molleda, meteorólogo coordinador en la oficina de Miami de la Administración Nacional de Océanos y Atmósfera (NOAA), ha señalado a Efe que, de concretarse el "bucle" y "afectar a Florida", sería como "un sistema débil", es decir, una "tormenta o depresión tropical, no con intensidad de huracán", ha dicho.
Molleda precisó que se espera que Matthew, el huracán más poderoso que se ha formado en el Atlántico desde Félix, en 2007, que causó más de 130 muertos a su paso por Nicaragua, "de un giro hacia el sur el próximo lunes" y el martes o miércoles "esté de vuelta en las Bahamas o acercándose" a este archipiélago de más de 700 islas.
Matthew avanza hace los estados de Georgia y Carolina del Sur y del Norte
En el sur del estado, los aeropuertos de Miami y Fort Lauderdale han empezado este viernes a reanudar poco a poco sus operaciones, pero el de Orlando, en el centro del estado, tuvo que cancelar todos sus vuelos y el de Jacksonville, en el norte, cerró sus operaciones.
Las aerolíneas también comenzaron poco a poco a programar vuelos al Aeropuerto Internacional de Miami (MIA), que aunque no cerró estuvo paralizado este jueves. American Airlines, la aerolínea que opera un mayor número de vuelos en Miami, ha reanudado sus operaciones en esta terminal, informó a Efe la compañía.
El fenómeno meteorológico se desplaza hacia el norte-noroeste con una velocidad de 12 millas por hora (19 km/h). Ahora, los que se preparan para afrontar el embate de Matthew son los estados de Georgia y Carolina del Sur y del Norte, a donde se dirigirá el ciclón a lo largo del fin de semana.
En Georgia, donde la Guardia Costera cerró los puertos de Savanah y Brunswick, el gobernador Nathan Deal activó 1.000 efectivos de la Guardia Nacional y tiene dispuestos otros 1.000 en caso de emergencia. De igual forma la gobernadora de Carolina del Sur, Nikki Haley, aseguró que 2.000 efectivos de ese cuerpo de ayuda fueron desplegados en el estado y que 106 centros médicos fueron evacuados.