Así se originan los huracanes
Telediario 1  Así se originan los huracanes

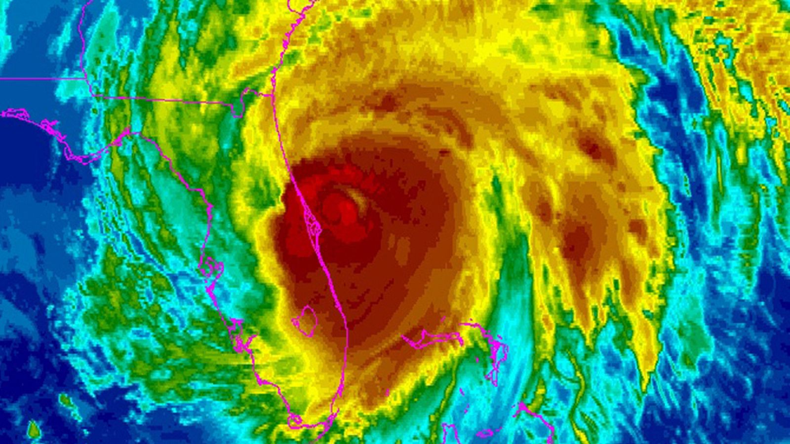
Son seguramente la fuerza destructiva más poderosa de la Tierra. Los llamados Tifones, en el sudeste asiático, Ciclones en el Índico y Huracanes en...

Disponible hasta: 13-09-2116

07/10/2016 00:01:17
No recomendable para menores de 7 años
Telediario 1 - Así se originan los huracanes Telediario 1 - Así se originan los huracanes
Así se originan los huracanes 00:01:17 07/10/2016

Disponible hasta: 13-09-2116 15:25:00

No recomendable para menores de 7 años
Sinopsis

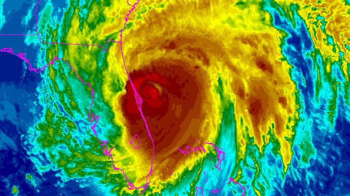
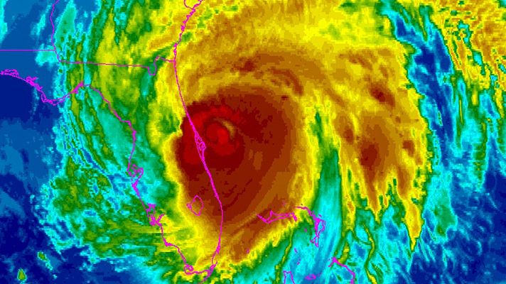
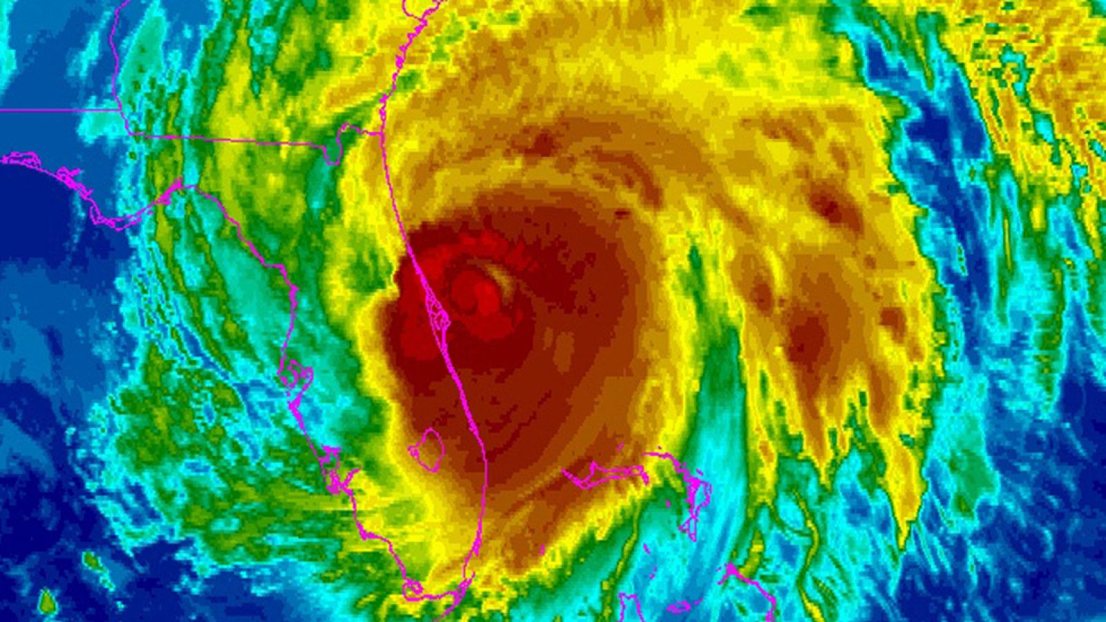
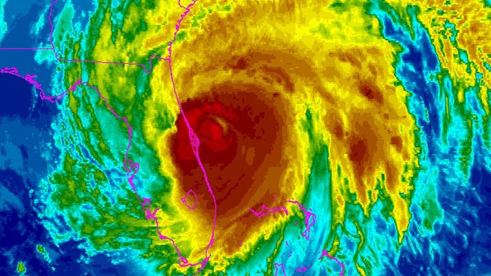
Son seguramente la fuerza destructiva más poderosa de la Tierra. Los llamados Tifones, en el sudeste asiático, Ciclones en el Índico y Huracanes en el Atlántico, se originan en torno a la línea del ecuador, donde las altas temperaturas evaporan el agua a gran velocidad generando grandes nubes y produciendo zonas de bajas y altas presiones que entran en un torbellino infernal "Se forman todos igual, sobre agua muy caliente, llena de energía el ciclón que va rotando cada vez más fuerte y cada vez tiene más energía y cada vez es más dañino".

Las tormentas tropicales se convierten en huracanes cuando los vientos alcanzan los 190 kilómetros por hora. La escala Saffir Simpson establece cinco categorías, la más dañina como el Matthew, con vientos superiores a 250 kilómetros hora. Además en este caso viene acompañado de otro huracán, el Nicole, aunque todavía es pronto para saber cómo se van a comportar.

Ficha técnica
Géneros
Información y actualidad
Idiomas
Castellano