Enlaces accesibilidad

El ciclón Winston deja al menos 21 muertos y miles de desplazados en Fiji

  • Cientos de casas han sido derruidas y las principales carreteras están cortadas
  • Las autoridades trabajan por proporcionar cobijo a los afectados
  • El ciclón Winston es el más potente en la historia del archipiélago
  • La ONG Save The Children pide atención para atender a "miles de niños"

Por
Residente de Tuvu Lautoka en Fiji, observa las ruinas de su casa tras el paso del ciclón Winston
Residente de Tuvu Lautoka en Fiji, observa las ruinas de su casa tras el paso del ciclón Winston AFP

El ciclón Winston ha dejado al menos 21 muertos, cientos de casas derruidas o dañadas y grandes destrozos a su paso por Fiji, país del Pacífico sur habitado por 810.000 personas que atravesó este fin de semana con vientos de 230 kilómetros por hora, y ráfagas de 325 kilómetros por hora, además de copiosas lluvias.

La última muerte confirmada corresponde a un niño de diez años que ha muerto ahogado en la localidad Nausori, situada a unos 18 kilómetros al noreste de Suva, ha informado este lunes la Oficina Nacional de Respuesta a los Desastres.

"Hay fiyianos ahí fuera sin agua, sin un techo con el que cubrir sus cabezas, sin alimentos y sin los servicios básicos", ha señalado este lunes el primer ministro de Fiyi, Frank Binimarama, durante una reunión con la Oficina Nacional de Respuesta a los Desastres, de acuerdo con una nota de prensa oficial. "Es nuestra obligación determinar sus necesidades y aliviarlas lo antes posible", pidió el mandatario.

Cientos de casas han sido derruidas por el ciclón Winston a su paso por Fiji

Cientos de casas han sido derruidas por el ciclón Winston a su paso por Fiji EFE HO

"El viento se llevó las casas"

Familias como la de Gurnam Singh han pasado los dos últimos días a la intemperie. Singh residía en Cuvu, una zona en el suroeste de Viti Levu, hasta que el ciclón destruyó las viviendas que habitaban. "Los fuertes vientos se llevaron las tres casas (...) No quedaba nada. Pasamos la noche del sábado y la del domingo en un plantío de cañas de azúcar. Somos 28, incluido un bebé", ha relatado el afectado al diario local The Fiyi Times.

"Mientras tratamos de obtener una imagen clara del impacto de esta tormenta gigantesca, los reconocimientos aéreos muestran aldeas completamente planas", ha señalado desde Fiji Sara Boxall, de CARE Australia, en un comunicado.

"No hay luz en gran parte del país, el daño al servicio del agua potable parece importante y el servicio de alcantarillado está potencialmente dañado", ha indicado Boxall. "Esta situación, combinada con el hecho de que miles de personas están en centros de evacuación abarrotados, puede desembocar con rapidez en el brote de epidemias", ha añadido la cooperante.

Destrucción en el poblado de Muamua en la isla de Vanua Balavu, tras el paso del ciclón Winston

Destrucción en el poblado de Muamua en la isla de Vanua Balavu, tras el paso del ciclón Winston AFP

Sin agua potable ni servicio eléctrico

Miles de personas se encuentran sin servicio de agua potable en Suva, donde habitan unas 74.500 personas, y Nasinu, un área urbana al noreste de la capital con unos 50.200 residentes. La Autoridad del Agua ha informado a estos afectados de que "el restablecimiento del servicio de agua tardará por lo menos una semana", al tiempo que ha señalado que hay numerosas localidades de las que todavía no saben nada.

El 80% de la población del país carece de servicio eléctrico, aunque un tercio dispone de alguna forma de generador, según la Oficina Nacional de Respuesta a los Desastres citada por la televisión neozelandesa.

"Viti Levu está sin luz y las bombas de agua no funcionan. En este tipo de emergencias, se trata de una carrera contrarreloj para llevar auxilio a los que lo han perdido todo y garantizar la sanidad y un lugar seguro a las familias", ha confirmado la representante de la ONG CARE.

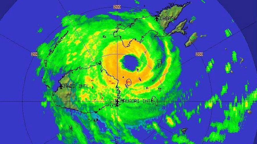
Imagen por satélite del ciclón Winston sobre el archipiélago Fiji, tomada el 20 de febrero

Imagen por satélite del ciclón Winston sobre el archipiélago Fiji, tomada el 20 de febrero EFE sh

Llamamiento internacional

La presidenta de la Cruz Roja de Fiyi, Cathy Wong, ha hecho este lunes un llamamiento internacional de solidaridad con las víctimas del ciclón Winston para atender las necesidades de los más vulnerables.

El primer ministro ha indicado que han formado equipos médicos para atender las necesidades en los centros de acogida y en las zonas remotas, mientras el Ministerio de Sanidad coordina con las ONG la distribución de servicios y equipos.

El Gobierno ha enviado equipos a la isla de Koro, las más afectada de las que forman el grupo Lomaiviti (centro), para que evalúen la situación y las necesidades.
Banimarama pidió a la población que permanezca alerta y limite sus desplazamientos, aunque se haya levantado el toque de queda impuesto el sábado pasado.

El turismo, pilar de la economía

Los vuelos locales continúan restringidos, mientras que la flota pesquera tiene orden de permanecer en puerto hasta nuevo aviso y colegios, institutos y universidades permanecen cerrados. Las principales carreteras del país siguen cortadas y muchas localidades permanecen incomunicadas. El aeropuerto de Suva ha reabierto esta jornada, pero solo para servicios de urgencia.

"No tenemos información de daños relevantes en las estructuras de la mayoría de los hoteles de Viti Levu, con la excepción de algunas propiedades en el área de Rakiraki", ha dicho el ministro de Industria, Comercio y Turismo, Faiyaz Siddiq Koya, en un mensaje destinado a tranquilizar el turismo, uno de los pilares de la economía nacional. El distrito de Rakiraki pertenece a la provincia de Ra y está situado en el norte de Viti Levu.

El 87% de la población reside en las islas de Viti Levu (oeste) y Vanua Levu (norte). Los centros de evacuados gubernamentales atendían este lunes a 8.438 personas: 5.880 en la división occidental, 1.260 en la división norte, 1.177 en la división central y 121 en la división sur, según datos oficiales.

Destrucción "absolutamente masiva"

"Serán necesarios un día o dos antes de que tengamos una imagen real de cuánta destrucción ha sido causada", ha explicado Anna Cowley, representante la ONG CARE, en un comunicado enviado a los medios, en el que cita como fuente al Gobierno de Fiji. Mientras el país trata de ponerse en pie, el ciclón Winston se dirige hacia Vanuatu, otra remota nación insular en medio del Pacífico. 

"La proporción de la destrucción es absolutamente masiva y es muy pronto aún para decir cuántos hogares han sido destruidos por la tormenta", ha explicado Susan Slattery, de la Cruz Roja australiana, al medio australiano 9News desde Suva.

En un mensaje televisado, el primer ministro ha pedido a sus ciudadanos permanecer "unidos" para "afrontar este desastre". Las autoridades también trabajan en proporcionar cobijo, agua y servicios sanitarios a los damnificados, que tienen a su disposición 758 centros de acogida. El servicio de transporte público ha reiniciado ya este lunes sus operaciones, mientras universidades y centros de educación primaria y secundaria continúan cerrados.

El ministro de Asuntos Exteriores de Nueva Zelanda, Murray McCully, ha anunciado en su país el envío de un avión con primeros auxilios y un fondo de 170.000 dólares neozelandeses (101.271 euros) para que organizaciones como Unicef o Rotary puedan asistir a los damnificados, según la emisora Radio New Zealand.

Australia también ha ofrecido asistencia, incluido un avión de vigilancia para evaluar la situación en las zonas incomunicadas más remotas, de acuerdo con la cadena australiana ABC.

Miles de niños desplazados

La ONG Save the Children ha pedido este lunes ayuda urgente para los miles de niños de las islas Fiji que han tenido que ser evacuados tras el paso del ciclón Winston , el más fuerte registrado hasta ahora en el hemisferio sur, con vientos de hasta 325 kilómetros por hora y que ha arrasado pueblos enteros.

Para Save the Children, debe de ser "una prioridad hacer llegar de manera inmediata alimentos, agua y refugio a los niños más vulnerables de los centros de evacuación. En algunos de los 80 centros de evacuación instalados en escuelas y otros edificios hay hasta 300 niños. Los servicios de protección de menores tienen que priorizar la atención a este colectivo".

"Esta es una enorme tragedia para Fiji. Nuestra nación nunca se ha enfrentado a algo así antes, y seguimos sin conocer la totalidad del impacto de la tormenta", aha afirmado este lunes Iris Low-McKenzie, directora general de Save the Children en el país afectado. "Pero lo que sí sabemos es que el proceso de recuperación llevará muchos, muchos meses para las familias que han perdido sus hogares y medios de vida".

Noticias

anterior siguiente