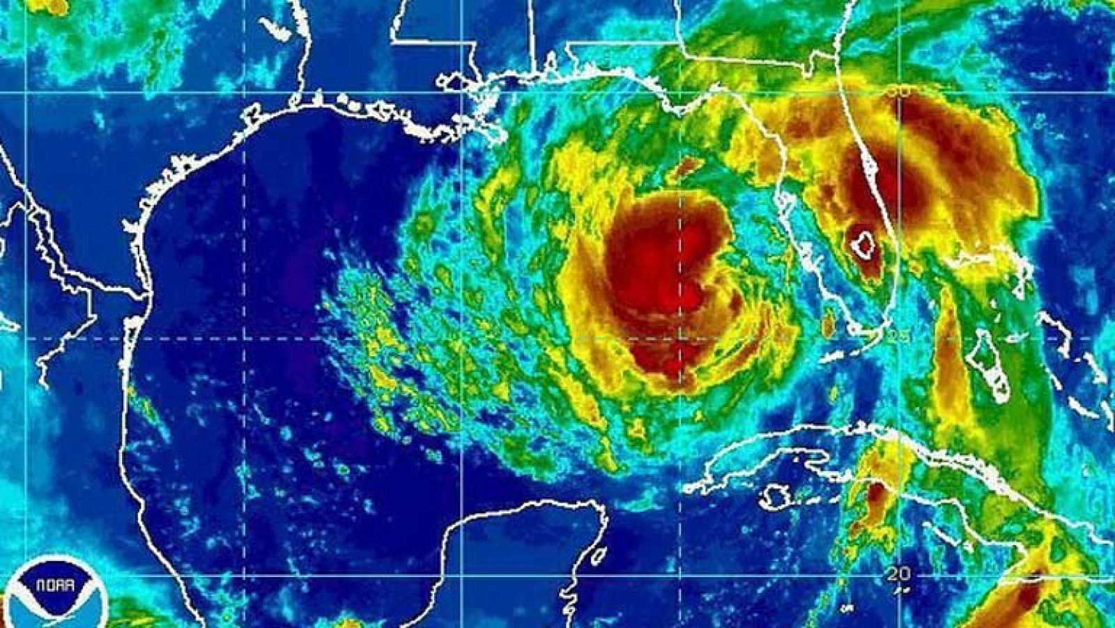
La tormenta tropical Isaac podría convertirse en huracán en las próximas horas
Telediario 1  Louisiana se prepara para Isaac

La tormenta tropical Isaac podría convertirse en huracán en las próximas horas

27/08/2012 00:01:22
No recomendable para menores de 7 años
Telediario 1 - Louisiana se prepara para Isaac Telediario 1 - Louisiana se prepara para Isaac
Louisiana se prepara para Isaac 00:01:22 27/08/2012
No recomendable para menores de 7 años
Sinopsis

La tormenta tropical Isaac se mueve ya por el Golfo de México, donde podría convertirse en huracán en las próximas horas. La situación de alerta se extiende ahora a la costa de Louisiana. La llegada de Isaac ha obligado a retrasar hasta mañana el inicio de la convención republicana que hoy tenía previsto comenzar en Tampa, Florida.

Ficha técnica
Géneros
Información y actualidad
Idiomas
Castellano