Telediario Matinal en cuatro minutos - 03/09/2019
Telediario 1  Telediario Matinal en 4' - 03/09/2019

Telediario Matinal en 4' - 03/09/2019

Disponible hasta: 10-08-2119

03/09/2019 00:04:30
No recomendable para menores de 7 años
Telediario 1 - Telediario Matinal en 4' - 03/09/2019 Telediario 1 - Telediario Matinal en 4' - 03/09/2019
Telediario Matinal en 4' - 03/09/2019 00:04:30 03/09/2019

Disponible hasta: 10-08-2119 06:53:00

No recomendable para menores de 7 años
Sinopsis

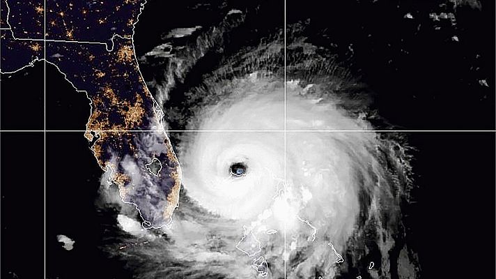
El huracán Dorian se encamina hacia la costa sureste de Estados Unidos, donde ya se ha evacuado a más de un millón de personas en los estados de Florida, Georgia y Carolina del Sur y del Norte. Aunque su avance es muy lento, se espera que llegue a esas zonas a lo largo del día de hoy.

Mientras tanto, su fuerza aún se deja sentir en el norte de las Bahamas. Allí, las autoridades confirman ya la muerte de cinco personas y la destrucción de miles de viviendas. Aunque el huracán ha perdido algo de fuerza y se ha rebajado su categoría de 5 a 4, aún es muy peligroso.

Buenos días. Con ese rastro, Dorian es ya uno de los huracanes más devastadores de los nacidos en el Atlántico. Mientras tanto, en España, el PSOE hace público hoy un programa con el que trata de convencer a Unidas Podemos para que respalde la investidura de Pedro Sánchez. La formación morada insiste en condicionar su apoyo a la entrada en el Gobierno.

Ante la falta de un acuerdo de gobierno, PP y Ciudadanos hablan ya de adelanto electoral. Ese asunto ocupará hoy la primera reunión de la cúpula de los populares tras las vacaciones. Esa cita coincide con el anuncio de la imputación de una decena de excargos del partido en Madrid, entre ellos Esperanza Aguirre y Cristina Cifuentes.

Y este martes está previsto reanudar la búsqueda de Blanca Fernández Ochoa en la sierra de Madrid. Con la luz del día volverá a activarse en la zona de Cercedilla el dispositivo integrado por servicios de emergencia y varios centenares de voluntarios. La medallista olímpica lleva 11 días desaparecida y la policía mantiene abiertas todas las hipótesis.

Día clave para la ofensiva política y judicial contra el primer ministro británico. La oposición laborista tratará hoy de desactivar su orden de suspensión del Parlamento. También se espera que un tribunal escocés se pronuncie sobre la legalidad de esa suspensión, con la que Boris Johnson intenta evitar que se impida el Brexit el 31 de octubre.

En Francia, este martes se pone en marcha una campaña para dar a conocer el número de teléfono que recoge denuncias de violencia machista. Es el 3919, una cifra que coincide con la fecha de hoy. En lo que va de año, cien mujeres han sido asesinadas por sus parejas o exparejas en Francia, el doble que los casos registrados en España.

Con puntos así, cómo no iba a estar Rafa Nadal en la siguiente ronda del Abierto de EEUU, Lara... Eso es, esta vez con un poco más de esfuerzo, pero Rafa Nadal ya está en cuartos del Abierto de EEUU. Ha necesitado 4 sets para deshacerse en octavos del croata Marin Cilic...pero ya espera horario para enfrentarse mañana a Diego Schwartzman. Peores noticias para Pablo Andújar, que no ha podido esta noche con Monfils.En fútbol, ya se ha cerrado el mercado de fichajes, con poco movimiento. Neymar se queda en el PSG... y lo más destacado del último día...el intercambio de porteros, precisamente entre el Madrid y el club parisino. Además, segundo día de concentración de la selección española.. y último antes de viajar a Rumanía para el partido del jueves. En el primer entrenamiento, se ha guardado un minuto de silencio en memoria de la hija de Luis Enrique.

Ficha técnica
Géneros
Información y actualidad
Idiomas
Castellano