Minas submarinas en España: ¿una alternativa a las tradicionales? | Ver
Telediario 1  Minas submarinas en España: ¿una alternativa a las tradicionales?

Noruega se ha convertido en el primer país europeo que autoriza un sondeo para crear minas submarinas. Se sabe que hay mucha riqueza en los océanos...

15/02/2024 00:01:43
No recomendable para menores de 7 años
Telediario 1 - Minas submarinas en España: ¿una alternativa a las tradicionales? Telediario 1 - Minas submarinas en España: ¿una alternativa a las tradicionales?
Minas submarinas en España: ¿una alternativa a las tradicionales? 00:01:43 15/02/2024
No recomendable para menores de 7 años VO
Sinopsis

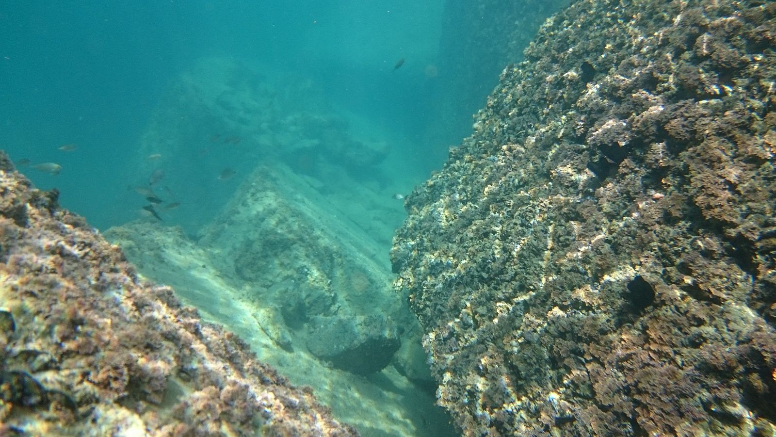
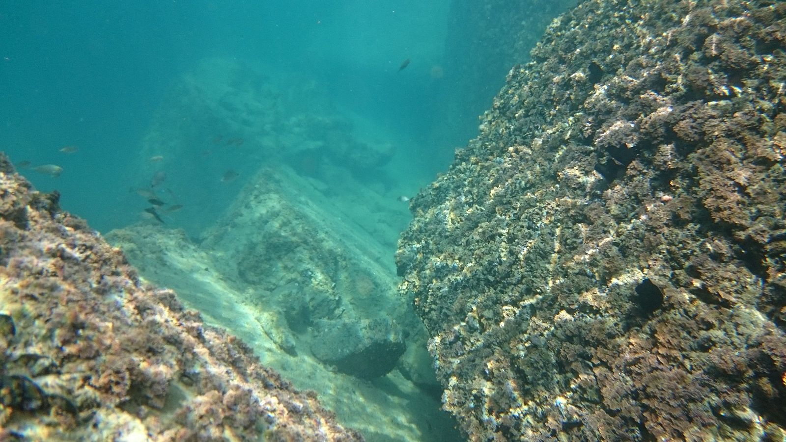
Noruega se ha convertido en el primer país europeo que autoriza un sondeo para crear minas submarinas. Se sabe que hay mucha riqueza en los océanos pero no solo desde el punto de vista geológico, sino también desde el punto de vista de la biodiversidad. El objetivo es buscar materias primas necesarias, por ejemplo, para baterías de coches eléctricos. Sin embargo, los ecologistas y científicos ya alertan del peligro que pueden suponer para los ecosistemas marinos. En el caso de nuestro país todo se limita a las investigaciones científicas. El próximo julio, la Autoridad Internacional de los Fondos Marinos decidirá si autoriza este tipo de minas en algunas aguas internacionales. 

Ficha técnica
Géneros
Información y actualidad
Idiomas
Castellano