El tifón Haiyan o Yolanda se convierte en tormenta tropical
Informativo 24h  Tifón Haiyan es tormenta tropical

El tifón Haiyan ha llegado este lunes al norte de Vietnam, China y Taiwan con vientos de más de 100 kilómetros por hora, tres días después de su...

11/11/2013 00:01:10
Recomendable para todos los públicos
Informativo 24h - Tifón Haiyan es tormenta tropical Informativo 24h - Tifón Haiyan es tormenta tropical
Tifón Haiyan es tormenta tropical 00:01:10 11/11/2013
Recomendable para todos los públicos
Sinopsis

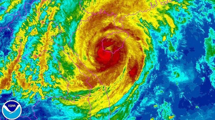
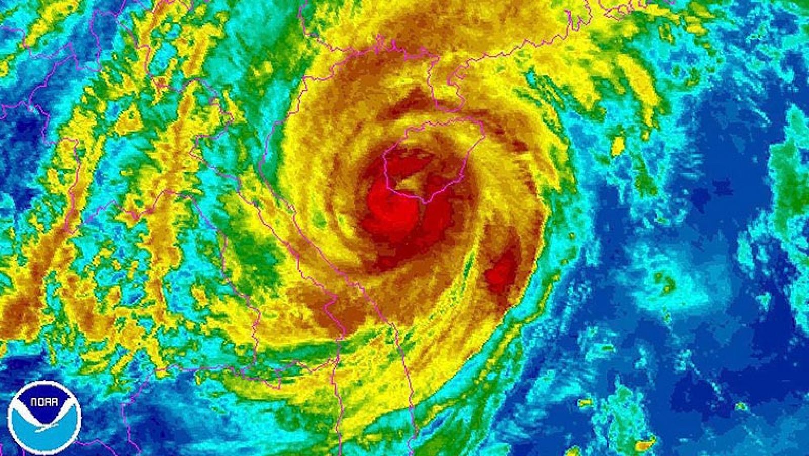
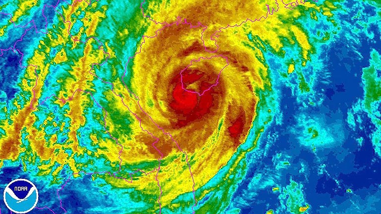
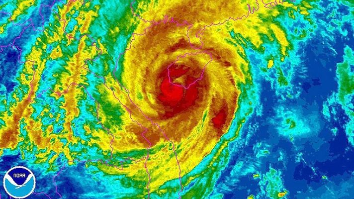
El tifón Haiyan ha llegado este lunes al norte de Vietnam, China y Taiwan con vientos de más de 100 kilómetros por hora, tres días después de su devastador paso por Filipinas, donde causó miles de muertos.

El tifón ha llegado al norte del Mar de China debilitado y convertido en tormenta tropical, pero con vientos de entre 62 y 88 kilómetros por hora con picos de hasta 117.

Ficha técnica
Géneros
Información y actualidad
Idiomas
Castellano