Enlaces accesibilidad

Ahí viene la plaga

  • Están donde no deben y suponen un peligro para la salud y para el bolsillo.
  • Cada vez hay más y están cada vez más cerca.
  • Transmiten enfermedades, acaban con cosechas, provocan accidentes de tráfico y se han convertido en un gran quebradero de cabeza para quienes las sufren.
  • Ratas, cucarachas y chinches son las plagas que más sufrimos.
Comando Actualidad - Ahí viene la plaga
Comando actualidad

Están donde no deben y suponen un peligro para la salud y para el bolsillo. Cada vez hay más y están cada vez más cerca. Las plagas y la presencia de especies invasoras se han disparado. Transmiten enfermedades, acaban con cosechas, provocan accidentes de tráfico y se han convertido en un gran quebradero de cabeza para quienes las sufren. Ratas, cucarachas y chinches son las plagas que más sufrimos. Las mil cuatrocientas empresas que se dedican en nuestro país a atacarlas tienen cada vez más trabajo. Se calcula que en Europa se invierten unos 24.000 euros por minuto en combatirlas.

Las plagas y la presencia de especies invasoras se han disparado.

José Luis lleva quince años fumigando chinches y cucarachas. En los últimos meses no hay día que no tenga que ponerse el mono y calzarse la mascarilla para levantar colchones, desmontar sofás, arrastrar lavadoras o correr frigoríficos. La cucaracha alemana, la plaga más común en los hogares españoles, prefiere las cocinas. El chinche, un insecto que se alimenta de sangre humana, prefiere esconderse en los dormitorios. Por cada actuación José Luis cobra entre 80 y 350 euros, que desaparezcan no está asegurado.

Cucarachas

Cucarachas

Además de las cucarachas, las más perseguidas en las ciudades son las ratas y las palomas; cada vez se aproximan más a los hogares. Un equipo de Comando Actualidad acompaña al Grupo de Control de Plagas del Ayuntamiento de Madrid al interior de las alcantarillas de la capital. En las cloacas anidan roedores, cucarachas o moscas de atranco. Si aparece esa mosca hay problema seguro. En los túneles subterráneos más cercanos al metro hay centenares de cucarachas. La oscuridad y la humedad las anima a multiplicar. José María es veterinario y está al frente del grupo, su misión es vigilar y controlar a los bichos en el subsuelo para que no salgan a la superficie. Sólo por invasión de ratas reciben hasta 2500 avisos al año.

Alcantarilla

Alcantarilla

El mapache ha dejado de ser un animal de compañía para ser nombrado especie invasora y peligrosa. Su mordisco puede transmitir la rabia. Pepe lleva 30 años capturando animales salvajes y ahora le toca hacer frente al mapache. Más de cuatrocientos ejemplares viven en bosques de la Comunidad de Madrid. Se han hecho fuertes en la zona después de ser abandonados por convertirse en mascotas ilegales.

Mapache

Mapache

Toño se ha quedado sin cosecha de maíz. Los jabalíes le han destrozado hectárea y media de maizal. Ni una mazorca se ha librado del ataque. No es el único agricultor que ve peligrar su sueldo. En Cambre, un municipio de A Coruña, los jabalíes se pasean por el centro de las calles y cruzan la Nacional VI. Se calcula que el año pasado provocaron dos mil accidentes de tráfico. Para controlar la población de este mamífero se han autorizado batidas controladas. Hasta 30.000 se hicieron el año pasado. Emilio es uno de los responsables. Entre helechos, eucaliptos y monte sus perros buscan el rastro. Si dan con el jabalí será abatido a tiros. En los últimos años el jabalí ha multiplicado por tres su población y está a punto de convertirse en una verdadera plaga.

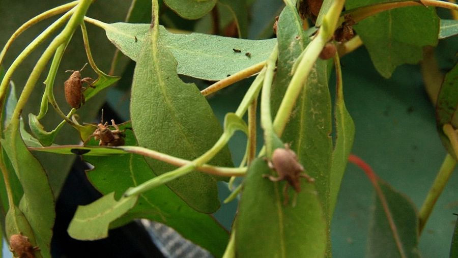
Eucalipto

Eucalipto

El gorgojo es un escarabajo que se come las hojas de los Eucaliptos y que está a punto de acabar con buena parte del sueldo de muchos gallegos. En Galicia crecen siete millones de toneladas de este árbol al año y muchos municipios de la costa viven de comercializar su madera. Por 300 toneladas de eucalipto pagan 12.000 euros. Empresas madereras, celulosas, agricultores, autónomos, transportistas…, la industria del eucalipto genera beneficios, puestos de trabajo y también polémica. Aunque no está catalogada como especie invasora, hay vecinos propietarios de montes comunales que están arrancando el eucalipto de la tierra. Sacan los brotes para que deje de reproducirse. Aseguran que está secando las acequias, ahogando a otras especies vegetales y sirviendo de combustible para los incendios.

‘Ahí viene la plaga’, este miércoles en Comando Actualidad.