- El Gobierno asegura que la cifra oficial está, por el momento, en 3.621 fallecidos
- El Ayuntamiento de Tacloban también informaba de 4.000 muertes horas antes
- Siete españoles continúan desaparecidos
El tifón Haiyan, que ha arrasado Filipinas, ha dejado ya al menos 4.460 víctimas mortales, según ha anunciado la Oficina de Coordinación de Asuntos Humanitarios (OCHA, por su sigla en inglés) de la ONU este viernes.
Las autoridades filipinas han contestado inmediatamente la cifra emitida por Naciones Unidas. El portavoz del Gobierno filipino, Reynaldo Balido, ha insistido en que la cifra oficial se encuentra en los 2.360 muertos.
Soldados de EE.UU. se harán hoy cargo de la entrega de ayuda en la zona más afectada por la catástrofe.
- "Estuvieron tres horas en el tejado", explica desde Tacloban Gregor Nitihardjo
- Los menores están traumatizados por lo que han visto
- El equipo de ayuda y otras 30 personas esperan aún la llegada de víveres
- Envía tu testimonio a RTVE.es / ¿Cómo puedes ayudar a los afectados?
La ayuda a los afectados por el tifón Haiyan en Filipinas llega muy lentamente a quienes lo necesitan
- Aún hay cadáveres en las calles y mucha población sin víveres
- "El Gobierno está desorganizado", declara el responsable de un equipo de ayuda
- Desde el Programa Mundial de Alimentos aseguran que "la situación ha mejorado"
- Envía tu testimonio a RTVE.es / ¿Cómo puedes ayudar a los afectados?
33 médicos españoles viajarán a Filipinas para ayudar a las víctimas del tifón Haiyan (o Yolanda, como se le conoce en el archipiélago). El avión español que salió este miércoles llega también este jueves a Cebú con ayuda humanitaria. En Tacloban, en la isla de Leyte, epicentro de la tragedia, los cadáveres se acumulan aún en las calles. El Gobierno filipino recibe ayuda pero aún tiene problemas para distribuirla debido al estado de las carreteras.
Seis días después del paso del tifón Haiyan, la asistencia a las víctimas continúa siendo la prioridad. Pero las carreteras siguen cortadas por los escombros, faltan bolsas para recoger los cadáveres y aumenta el riesgo de infecciones. En Tacloban, la zona más afectada se encuentra un equipo de televisión española.
- Declaraciones a RTVE.es del representante en Filipinas, Bernard Kerblat
- Solo se puede llegar a las poblaciones del interior en helicóptero
- 600.000 desplazados, según "cifras conservadoras"
- La cifra oficial de muertos es ya de 2.275
- La OMS califica el desastre con categoría 3, la más elevada
- Mueren ocho personas al intentar asaltar un almacén de arroz
- Envía tu testimonio a RTVE.es / ¿Cómo puedes ayudar a los afectados?
En la quinta jornada desde el paso del tifón Haiyan (o Yolanda, como también ha sido llamado), Filipinas ha comenzado a enterrar a los muertos en fosas comunes para evitar enfermedades. Los supervivientes desesperan para encontrar agua y comida.
Las provisiones de alimentos y agua potable, y el suministro de material médico, llegan con cuentagotas a Filipinas tras el paso del tifón Haiyan.
Sin embargo, el embajador de Filipinas en España, Carlos Salinas, ha asegurado en Los desayunos de TVE que "ahora que las carreteras y los aeropuertos están abiertos los aviones están llegando con ayuda".
"En Filipinas estamos acostumbrados a los tifones, pero no como este último", ha añadido.
La catástrofe del tifón Haiyan o Yolanda es la más grave de Filipinas en los últimos 30 años. La Organización Mundial de Salud (OMS) ha calificado el desastre con categoría 3, el nivel más elevado. La organización ha equiparado la devastación causada por 'Haiyan' a la del tsunami del Índico en 2004 o el terremoto que asoló Haití en 2010.
La propagación de enfermedades como la gripe y la aparición del cólera u otras epidemias es una de las máximas preocupaciones de las autoridades locales.
Desde Tacloban, capital de la isla de Leyte y uno de los lugares más afectados, la enviada especial de TVE, Marían Serén, informa que la prioridad de los equipos de ayuda es atender a los heridos e instalar plantas potabilizadoras precisamente para evitar enfermedades.
Cinco días después de que el tifón "Haiyan" arrasara las provincias centrales de Filipinas, las autoridades locales y organismos religiosos han comenzado a cavar fosas comunes donde enterrar a las víctimas mortales y prevenir así que broten enfermedades y epidemias.
El presidente de Filipinas, Benigno Aquino, descartó la noche del martes que el número de fallecidos alcance los 10.000, como estimó Naciones Unidas, e indicó que la cifra rondará entre los 2.000 y los 2.500, durante una entrevista con el canal estadounidense "CNN".
Por su parte, la Organización Mundial de Salud (OMS) ha calificado el desastre con categoría 3, el nivel más elevado. La organización ha equiparado la devastación causada por "Haiyan" a la del tsunami del Índico en 2004 o el terremoto que asoló Haití en 2010.
- Se trata de diez turistas y cuatro residentes en el país asiático
- Margallo asegura que no hay que alarmarse porque no hay comunicación
- Ya se ha puesto en marcha la sala de crisis de emergencias consulares
- La UE desbloquea otra partida de 10 millones de euros
- España envía dos aviones con diverso material
- Envía tu testimonio a RTVE.es / ¿Cómo puedes ayudar a los afectados?
Los equipos de emergencias de Filipinas intentan acceder a los damnificados por el tifón Haiyan (también llamado Yolanda) muchos de los cuales se encuentran en zonas aisladas.
Los equipos de emergencia y rescate filipinos trabajan contrarreloj para ayudar a las víctimas afectadas por el paso del tifón Haiyan en las regiones centrales de Filipinas y encontrar a los posibles supervivientes.
Desde Cebú, la enviada especial de TVE, Marián Serén, ha informado que el tiempo apremia porque la tormenta tropical Zoraida se acerca a la zona y la población, ya en la calle por 'Haiyan', es muy vulnerable.
La cifra oficial de muertos es de 1.744, aunque Naciones Unidas espera "lo peor" y sigue estimando el número real de fallecidos en más de 10.000. Hay al menos 2.487 heridos.
Los equipos de emergencia y rescate trabajan a contrarreloj en Filipinas para ayudar a las víctimas afectadas por el paso del tifón Haiyan (o Yolanda, como se le ha llamado en el archipiélago) en las regiones centrales del país, mientras se afanan en las tareas de búsqueda de posibles supervivientes.
Naciones Unidas afirmó este lunes "que espera lo peor" y estimó el número de víctimas mortales en "más de 10.000 personas". La cifra oficial hasta el momento es de 1.744.
Por ello, la ayuda internacional no se ha hecho esperar. Numerosos países y organizaciones han anunciado el envío de ayuda humanitaria, equipos de rescate y material de emergencia para los miles de damnificados por el peor desastre natural ocurrido este año.
España anunció el envío de dos aviones con ayuda para los damnificados por el tifón Yolanda, como respuesta humanitaria que el Ministerio de Exteriores ha cuantificado en total en más de un millón de euros.
El ministro de Asuntos Exteriores y de Cooperación, José Manuel García-Margallo, hizo este anuncio en un acto conmemorativo del 25 aniversario de la AECID, y aseguró que es el tifón filipino es una catástrofe "peor que la del Katrina".
Previamente, la Unión Europea (UE) activó también su mecanismo de protección civil para coordinar la ayuda humanitaria sobre el terreno afectado, iniciativa que se suma a los 3 millones de euros (unos 4 millones de dólares) que el bloque ha destinado a la zona.
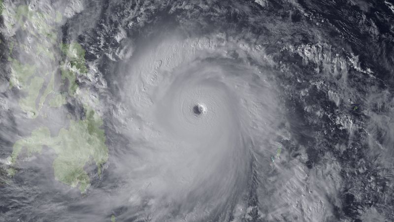
- Filipinas alertó puntualmente del fenómeno, pero fue extraordinario
- Los daños van a hacer extremadamente compleja la ayuda, según un experto
- España envía dos aviones con material de emergencias
- No hay ningún español entre los fallecidos, según la AECID
- Millones de personas esperan agua, alimentos y refugio
- Envía tu testimonio, información y comentarios sobre el tifón Haiyan